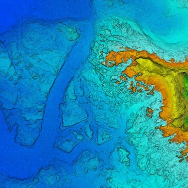
前回紹介した小川とはスケールの違うダイナミックな海底地形が、黒崎の鼻という場所の約100m沖合に存在します。
川状の地形の幅は60m以上で、底質は砂か砂礫ではないかと思われます。
どうやってできた地形かさっぱり分かりませんが、岩と砂の境目が好きなカワハギを釣るには打ってつけのエリアでしょうね。

また、地形変化に特化して表現された「赤色立体地図」で同じ地形を見ると、段彩図では気づきにくい微妙な地形変化も立体的・直感的に把握することができます。

投稿日:2020年5月25日
前回紹介した小川とはスケールの違うダイナミックな海底地形が、黒崎の鼻という場所の約100m沖合に存在します。
川状の地形の幅は60m以上で、底質は砂か砂礫ではないかと思われます。
どうやってできた地形かさっぱり分かりませんが、岩と砂の境目が好きなカワハギを釣るには打ってつけのエリアでしょうね。

また、地形変化に特化して表現された「赤色立体地図」で同じ地形を見ると、段彩図では気づきにくい微妙な地形変化も立体的・直感的に把握することができます。
